Acharnes-Menidi plot 4.200 sq.m, for sale | ref. 81 - photo 1 of 1

Plot 4.200 sq.m, for sale

ID. 81
€ 1.100.000

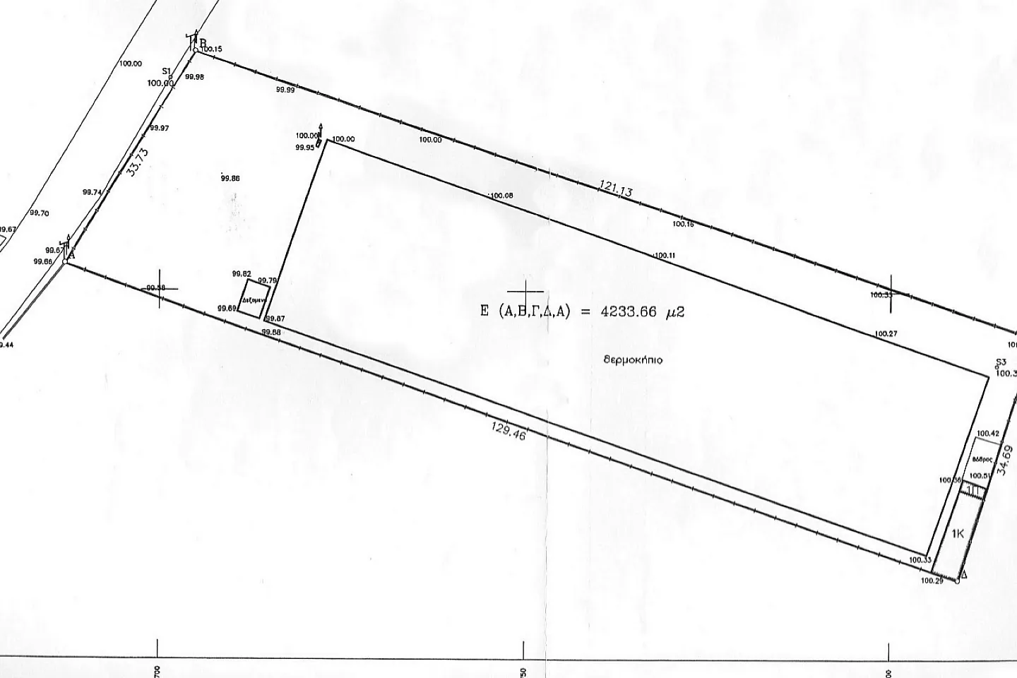
A 4,200-square-meter plot of land is available for sale in Acharnes, West Athens, situated in a central and accessible location within the area.

This buildable plot offers a building factor of 0.2, allowing for a total construction area of up to 840 sq.m on the ground. The maximum building coverage permitted on the land is 10%. The plot features favorable dimensions, including a 34-meter-wide frontage along a paved road.

Located within a General Urban Plan (GIS) zone designated for commercial use, the property benefits from excellent access to the Athens-Lamia National Road, enhancing its connectivity and appeal.

Given its location and zoning, the plot is suitable for a variety of commercial applications such as warehouses, marble shops, or other investment opportunities.

Overview

Property Type
Plot
Purpose
For sale
Zoning
General Residential Zone
Property Size
4.200 sqm
Floor Area Ratio
0.2
Land Coverage
10 %
Facade
34 m

Get in Touch

If you are interested in this property, fill out the form and we'll be in touch as soon as possible, or share your desires by:

T. +30 210 83 22 007

E. info@terraproperty.gr